Triplex et Terrains à Vendre
emplacement stratégique, au cœur des activités
Points Clés
-
Possibilité de Vente Ensemble ou Séparément
Investissez selon votre vision : triplex, terrains ou l’ensemble du développement.
-
Triplex Rénové avec Permis de Location Court Terme
Propriété clé en main, parfaite pour investisseurs ou occupants, avec options adaptées à vos besoins
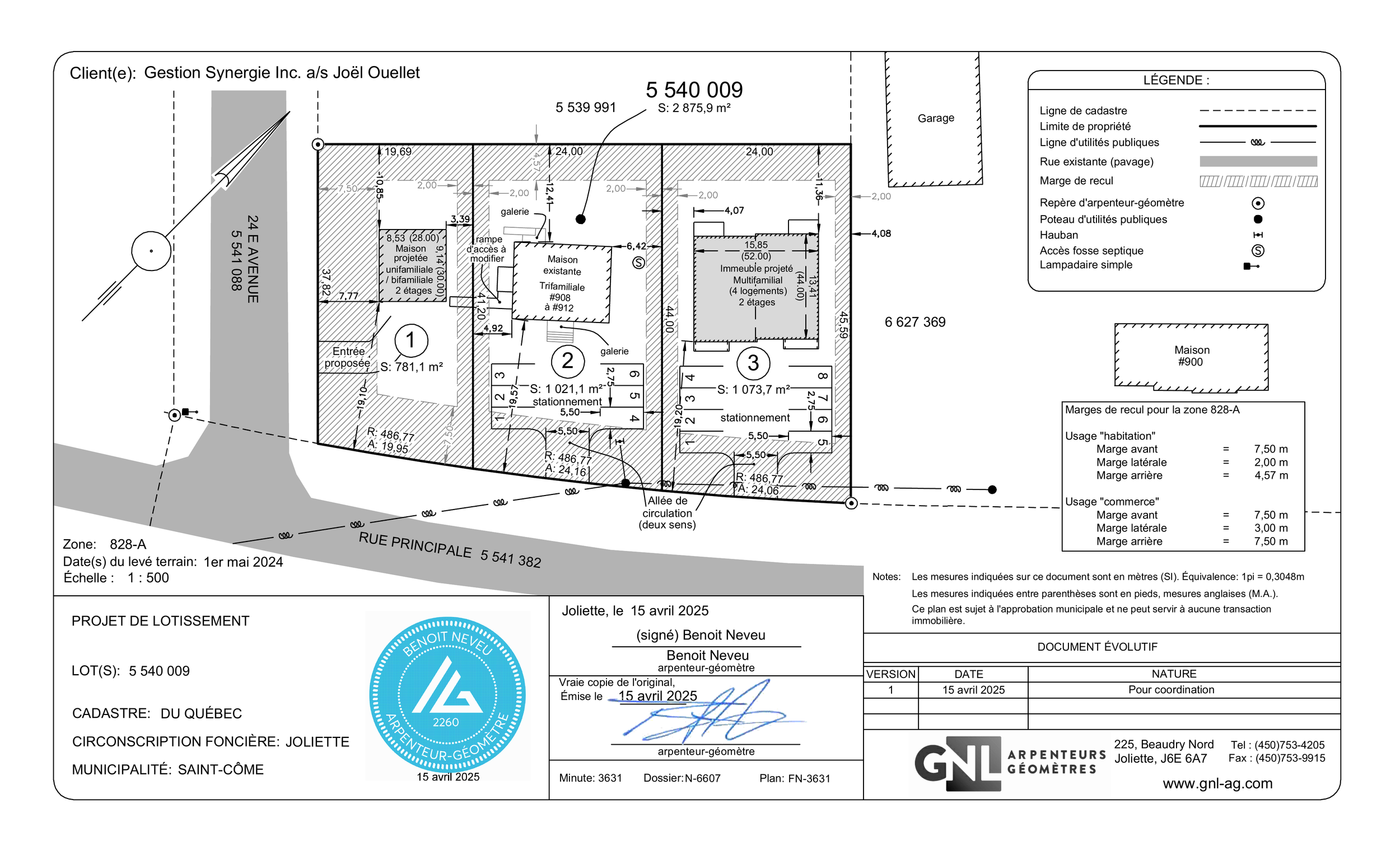
908-912 Rue Principale, Saint-Côme
-
Zonage Permissif : Multifamilial, Résidentiel, Services Professionnels
Un emplacement stratégique offrant des options pour tous vos projets
Subdivision déjà réalisée selon les normes municipales
-
Terrains Prêt à Bâtir
2 Terrains Plats, Desservis (aqueduc et égout)
Prêts pour la construction de votre projet résidentiel ou multi-familial
Taxes de parc payée


Terrain # 3, Rue Principale
Terrain prêt à bâtir – conforme au zonage, polyvalent (résidentiel, multi-résidentiel (au moins 4 logements), commercial léger).
Subdivision déjà réalisée selon les normes municipales
Taxe de parc payée $
Terrain plat et accessible avec services (aqueduc et égout)
Zonage validé avec la municipalité (document fourni)
Exemples de projets possibles : duplex, triplex quadruplex, jumelé, unifamiliale commerce de proximité, etc.
Un investissement stratégique, idéal pour les investisseurs ou entrepreneur général.
Prix
114 900$ +tps/tvq
Services
Aqueduc et égout
Superficie
1073,7m2 / 11 560pi2
Zonage
828-A
Terrain # 1, Rue Principale
Terrain prêt à bâtir – conforme au zonage, polyvalent (résidentiel, multi-résidentiel (duplex, triplex, commercial léger).
Subdivision déjà réalisée selon les normes municipales
Taxe de parc payée $
Terrain plat et accessible avec services (aqueduc et égout)
Zonage validé avec la municipalité (document fourni)
Exemples de projets possibles : duplex, triplex, jumelé, unifamiliale commerce de proximité, etc.
Un investissement stratégique, idéal pour les investisseurs ou entrepreneur général.
Superficie
781,1m2 / 8409pi2
Zonage
828-A
Prix
89 900$ +tps/tvq
Services
Aqueduc et égout
Triplex (#2)
Triplex à vendre – investissement ou villégiature
1 x studio
1 x 4 ½
1 x 5 ½
Les appartements du rez-de-chaussée (studio et 4 ½) ont été refaits à neuf en 2019, tandis que l’appartement du haut (5 ½) a bénéficié de rénovations récentes en 2025.
Toiture refaite en 2025
Revenus Bruts Potentiels: ±60 000$
Avec un permis de location à court terme, cette propriété est idéale pour un investisseur à la recherche de bons revenus locatifs ou pour un propriétaire occupant désirant une résidence secondaire en villégiature.
Offert avec option de vente meublée pour une prise de possession clé en main.
Prix: À venir
Services Aqueduc et fosse septique (possibilité de se brancher à la ville)